BID UNDISCLOSED
Auction date was 2026 Feb 28 @ 08:30UTC-07:00 : PDT/MST
There is a $500 deposit to register for each auction. If you win more than one vehicle we will charge an additional $500 deposit per vehicle that will be applied towards your winning invoice.
*PAYMENTS OPTIONS*
* ZELLE - JSC GLOBAL GROUP ENTERPRISE (619)494-6620
* CASH PAYMENTS REQUIRE A $50 FEE PER VEHICLE
FOR NONE MEMBERS.
Invoices must be paid by 3:00PM the SAME DAY or the deposit will be forfeit. FOR NONE MEMBERS
ALL CARS ARE SOLD AS-IS NO EXCEPTIONS!
Please DO NOT Place bids if you do not agree to the...
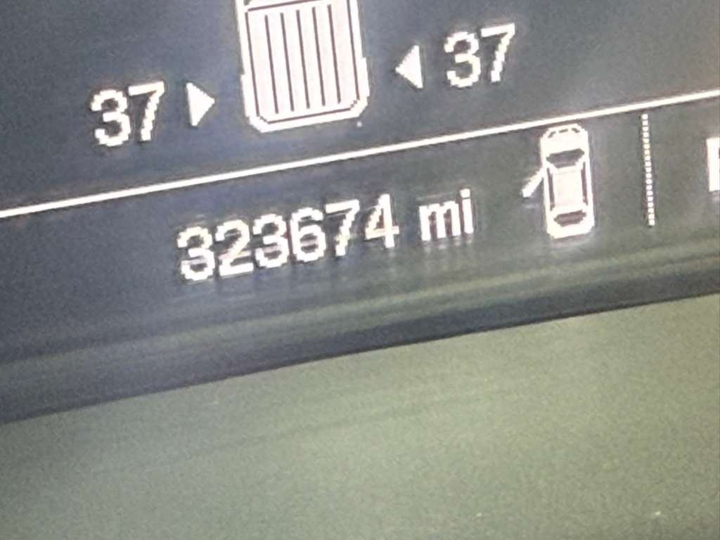
MAKE: GMC || MODEL: CANYON || YEAR: 2016 || TITLE: REPO- WAIT/TITLE || VIN: 1GTH5BEA4G1245177 || MILES: 323674 || ENGINE: 4 CYL / 2.5 L || COLOR: WHITE || KEYS: Yes || *Green Light
Auction Location:
1703 Cactus rd, San Diego, California, 92154, United States
Previewing Details:
Preview Saturday 8AM to 9:00AM
VIP Members Early Access 8:00AM
Buyer's Premiums:
| From (Incl.) | To (Excl.) | Premium |
| 0.00 |
499.00 |
175.00 |
| 499.00 |
799.00 |
275.00 |
| 799.00 |
1,499.00 |
325.00 |
| 1,499.00 |
1,999.00 |
375.00 |
| 1,999.00 |
2,499.00 |
475.00 |
| 2,499.00 |
2,999.00 |
550.00 |
| 2,999.00 |
3,499.00 |
650.00 |
| 3,499.00 |
5,999.00 |
675.00 |
| 5,999.00 |
7,999.00 |
775.00 |
| 7,999.00 |
Infinite |
1,000.00 |
Additional Fees:
| Fee | Amount | Applicable Locations | Applied To |
| Dealer Fee |
60.00
|
Not Applicable
|
This fee applies to each item
|
| Virtual Fee |
55.00
|
Not Applicable
|
This fee applies to each item
|
Shipping Details:
No Info Available
Payment Details:
We accept the balance paid by: CASH OR ZELLE ONLY, NO EXCEPTIONS.
ALL VEHICLES MUST BE PAID IN FULL SAME DAY BY 3PM OR BUYER WILL FOREFEIT THEIR DEPOSIT.
Accepted Payment Methods:
All vehicles are sold "As-is, Where is" with no guarantees or warranties expressed or implied.
There is a $500 deposit to register for each auction. If you win more than one vehicle we will charge an additional $500 deposit per vehicle that will be applied towards your winning invoice.
Invoices must be paid by 3:00PM same day or the deposit will be forfeit.
*PAYMENTS OPTIONS*
* ZELLE - JSC GLOBAL GROUP ENTERPRICE (619)494-6620
* CASH PAYMENTS REQUIRE A $50 FEE PER VEHICLE
If you do not win a vehicle your deposit will be returned to you within 5 - 7 business days.
A late/storage fee of $75/day will apply. Johnny's Auto Auction will not recognize any claim for theft or damage. After the sale, vehicles that remain on our lot are at the buyer's risk.
All vehicles 10 years and older are sold as TMU (True Mileage Unknown).
Buyer is responsible for all DMV and Emission Fees. All emission related repairs are the responsibility of the buyer.
Please DO NOT Place bids if you do not agree to the conditions of sale.